Przejdź do treści
Reklama
Reklama
Nauka

Nadchodzi Milton, morski potwór z jednym okiem. Skąd się biorą takie huragany?

Tak wygląda huragan Milton 8 października na zdjęciu z samolotów Łowców Huraganów Rezerwy Sił Powietrznych USA Tak wygląda huragan Milton 8 października na zdjęciu z samolotów Łowców Huraganów Rezerwy Sił Powietrznych USA mat. pr.
Huragan, cyklon, tajfun, cordonazo, willy-willy, bungo – te wszystkie nazwy oznaczają jedno, a mianowicie cyklon tropikalny, który właśnie, pod nazwą Milton, dociera do wschodniego wybrzeża USA.
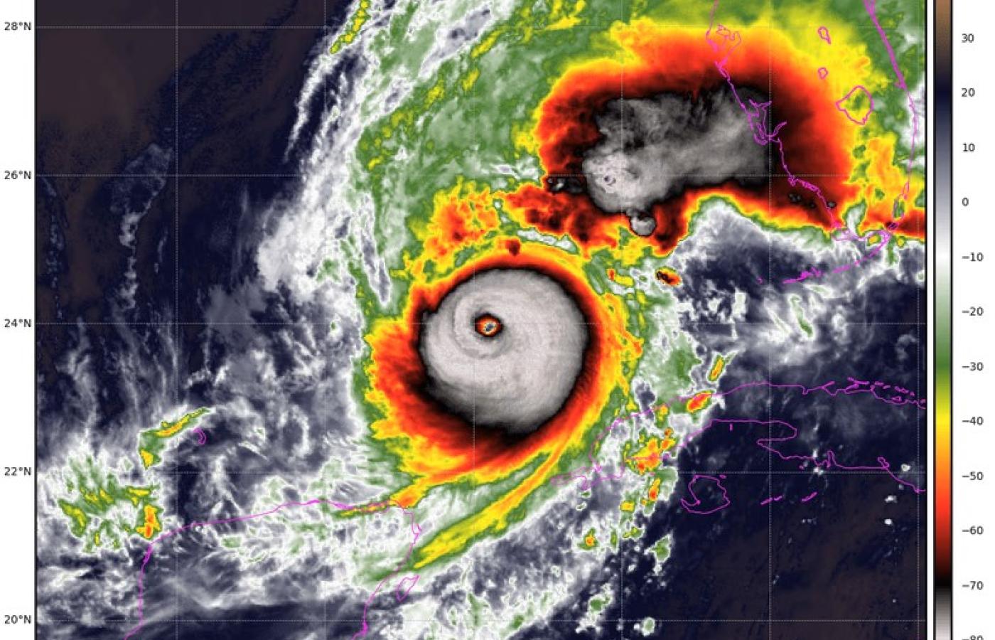
Huragan MiltonNHC/NOAA Huragan Milton
Prognozowana trasa huragany Milton, 8 października 2024 r.NHC/NOAA Prognozowana trasa huragany Milton, 8 października 2024 r.

Niespełna tydzień po przejściu huraganu Helene Florydę nawiedzi rekordowo silny Milton. Helene doprowadziła do ogromnych powodzi w Appalachach i przyniosła 230 ofiar śmiertelnych, przy Miltonie jej siła jednak blednie: huragan osiągnął już prędkość 265 km/godz. i po chwilowym osłabieniu we wtorek znów określany jest jako „jeden z najbardziej niszczycielskich huraganów w historii”.

Milton, jeden na sto lat

Tak opisało go amerykańskie Narodowe Centrum Huraganów, nadając mu piątą, najwyższą kategorię w skali Saffira-Simpsona. Milton ze swoją bezwzględną siłą zbliża się ku zachodnio-środkowej Florydzie, gdzie dotrze najprawdopodobniej w czwartek rano polskiego czasu, przetnie półwysep i powróci nad Ocean Atlantycki. Przyniesie grożące powodziami opady – nawet do 200 mm – ale też tornada i fale sztormowe o wysokości 4,5 m. W głębi lądu wichury osiągną siłę 100–140 km na godz., ale na wybrzeżu wiatr będzie wiał z prędkością do 200 km na godz.

Przebywający na Międzynarodowej Stacji Kosmicznej astronauta NASA Matthew Dominick pokazał, jak wygląda huragan Milton, widziany z przelatującej nad jego centrum ISS:

Milton szczególnie zagraża mieszkańcom Zatoki Tampa, gdzie najprawdopodobniej wtargnie na ląd. W ciągu ostatnich stu lat – od 1921 r. – rejon ten nie doświadczył huraganu o takiej sile. Tampa, St. Petersburg i Clearwater tworzą trzecią największą aglomerację stanu, zamieszkaną przez ponad 3 mln ludzi, ale nakazem obowiązkowej ewakuacji objęto niemal 5,9 mln mieszkańców Florydy.

Syndrom Katriny

Być może zadziałał tu syndrom huraganu Katrina, który w 2005 r. uderzył w Nowy Orlean, zniszczył miasto, zabił prawie 2 tys. ludzi i spowodował straty liczone w miliardach dolarów. Wtedy zlekceważono huragan, a nawet już po jego przejściu władze nie spieszyły z pomocą, co było w Ameryce przedmiotem licznych protestów i krytyk.

Od tamtego czasu władze nie lekceważą już zagrożeń związanych z cyklonami. Prezydent USA Joe Biden przełożył wizytę w Niemczech i Angoli, co argumentował koniecznością nadzorowania przygotowań na przejście Miltona. Apelował o niezwlekanie z ewakuacją. „To sprawa życia i śmierci”, podkreślał.

Uciekający przed żywiołem ludzie zablokowali autostrady i drogi międzystanowe, na wielu stacjach benzynowych brakuje paliwa.

Jak powstają huragany?

Huragany to cyklony tropikalne, które tworzą się w strefach międzyzwrotnikowych. To głębokie niże z wirową cyrkulacją, które mogą mieć wysokość kilkunastu i średnicę kilkuset kilometrów. Na Atlantyku powstają zwykle na przełomie lata i jesieni, a na Oceanie Indyjskim w maju i listopadzie. W okolicach Australii w marcu, czyli w tym czasie, gdy temperatura wierzchnich warstw oceanów jest w tych rejonach największa. Te atlantyckie (z półkuli północnej) kręcą się odwrotnie do ruchu wskazówek zegara, tajfuny z południa, z Oceanu Indyjskiego i Pacyfiku – zgodnie z tym ruchem. Huragany powstają, ponieważ powierzchnia oceanu jest bardzo nagrzana – może mieć w niektórych miejscach powyżej 26 st. C i to aż do głębokości 50 m. Wystarczy, że nad takim ogromnym zbiornikiem energii powstanie mały układ niskiego ciśnienia, a nawet nieznaczne tzw. izobaryczne zafalowanie pola ciśnień. Potrzeba jeszcze, by wokół takiego zafalowania pojawiło się kilka głębokich chmur burzowych. W takiej sytuacji może narodzić się huragan.

Chmury zaczynają zasysać ciepłe i lekkie powietrze znad oceanu, które wirowym ruchem unosi się do góry. Im idzie wyżej, tym bardziej się ono ochładza i staje się cięższe. Naturalną koleją rzeczy cięższe zaczyna się kierować w dół, ale z dołu nieprzerwanie napływają lekkie i ciepłe masy. W środku takiego układu powstaje bardzo obniżone ciśnienie i całość zaczyna wirować jak gigantyczna karuzela. Huragan lub – jak mówią w Azji tajfun, a w Australii willy-willy – gotowy.

Oceaniczne monstrum przesuwa się z prędkością do 50 km/godz. Jednak wiatr, który wywołuje, może osiągnąć 70 m/s lub więcej, czyli ponad 250 km/godz. Gdy taki potężny układ jest bardzo wysoki, u góry tworzy się w nim otwór, przez który wnika także do wewnątrz powietrze i powstaje tzw. oko cyklonu. W samym oku jest stosunkowo spokojnie i cicho, najbardziej burzliwe warunki panują dalej od oka i w obszarach zewnętrznych. Huragan to najbardziej burzliwe zjawisko atmosferyczne na Ziemi. Fizycznie jest porównywalne z gigantycznym parowym silnikiem, który część dostarczonej do niego energii zamienia w ruch. W tym przypadku wirowy.

Wiatr, deszcz i woda

Chociaż największe szkody i zniszczenia wywołuje wiatr, który może porywać autobusy, a nawet całe fragmenty domów, to huragany niosą też ze sobą gigantyczne ulewy. W 1966 r. huragan nad wyspą Reunion na Oceanie Indyjskim spowodował opad 1825 mm na 24 godz.! Największe ulewy wywołujące katastrofalne powodzie w Polsce powodowały opad 400–500 mm wody w ciągu trzech dni. Poza tym na terenach nadmorskich huragany są groźne ze względu na to, że wywołują potężne fale morskie uderzające w szelf i brzeg, tak jak to było w przypadku Katriny. Największe straty w historii spowodował huragan Bhola, który w 1970 r. uderzył w wybrzeże Bangladeszu i zabił tam blisko 300 tys. ludzi.

Należy się jednak pocieszać tym, że huragany – chociaż nad oceanami mogą się utrzymywać długo, gdyż wciąż zasysają ciepłe masy powietrza z ich powierzchni, rozbudowują się i coraz szybciej kręcą – gdy docierają do lądu, zwykle tracą na sile. Zaczyna im brakować paliwa, a więc ciepłych mas powietrza. Zwalniają, słabną i albo zanikają w końcu, albo znacznie spowolnione zaczynają przesuwać się w stronę biegunów.

Teoretycznie możliwy jest jeszcze tzw. hiperkan, czyli huragan huraganów – niewyobrażalnie ekstremalny. Mógłby powstać, gdyby temperatury powierzchni oceanów były w niektórych miejscach jeszcze wyższe – powyżej 40 st. C. Hiperkan byłby w stanie zmieść z powierzchni ziemi cały Nowy Jork, i to bez większego problemu, gdyż siła jego wiatru dochodziłaby do 200 m/s (ponad 600 km/godz.). Na szczęście hiperkany jeszcze na Ziemi nie powstają. Choć mamy ocieplenie i w zasadzie wszystko przed nami.

Więcej na ten temat
Reklama

Czytaj także

null
Świat

Akta Epsteina. Światowe elity na widelcu, skala jest oszałamiająca. Kogo jeszcze zatopi tsunami?

Tony dokumentów z archiwum Jeffreya Epsteina to materiał, jakiego jeszcze nie było. Potężna kompromitacja amerykańskich i globalnych elit. I służby specjalne w tle.

Tomasz Zalewski z Waszyngtonu
11.02.2026
Reklama

Ta strona do poprawnego działania wymaga włączenia mechanizmu "ciasteczek" w przeglądarce.

Powrót na stronę główną